foto-holger-krause

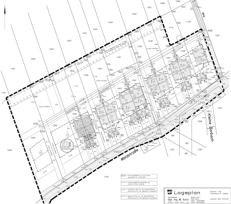
13 Einfamilienhäuser - Witten

Leistungsphasen 1–2, 4–5

Projekt:
Errichtung von 12 Einfamiliendoppelhaushälften und einem freistehenden Einfamilienhaus in Waldrandlage des Ardeytals in Witten.

Besonderheit:
Die Hanglage des Grundstückes erlaubt eine maximale Ausnutzung der Wohngebäude zu Wohnzwecken.

Planung 2006–2007

Fertigstellung 2009